Identifican ocho de las nueve personas fallecidas en La Otra Banda Higüey
Fueron identificadas por las autoridades 8 personas de las 9 que fallecieron fruto del fatal accidente ocurrido este sábado en ...
Leer másDetailsFueron identificadas por las autoridades 8 personas de las 9 que fallecieron fruto del fatal accidente ocurrido este sábado en ...
Leer másDetailsEl expresidente del Senado de la República y secretario de la Liga Municipal Dominicana, Amable Aristy Castro, murió la noche ...
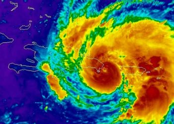
Leer másDetailsEl Centro Nacional de Huracanes (CNH) informó que el huracán Fiona tocó tierra en la República Dominicana a las 3:30 de la ...
Leer másDetails